Суд за землю с соседями

Обсуждаем вопросы землеустройства, межевания, проблемы границ участков, кадастрового номера, кадастрового плана. Границы земельного участка.

Модератор: admin

Суд за землю с соседями

Сообщение Drum » Вс июл 12, 2009 23:37

Уважаемые юристы, помогите разобраться со спором. Ситуация следующая.
Дача находится на земле отчуждения под ЛЭП. По соседству имеются вредные и жутко жадные соседи. При покупке участка стоял хиленький забор между нами и этими соседями. Забор стоял на водосточной трубе по которой был проход между участками и до дороги. Далее пока мы оформлялись, соседи поставили новый забор, но перенесли его на 2 метра в нашу сторону, захватив метр нашей земли и проход к дороге. Забор который был у дороги отодвинули еще дальше на 3,7 метра и поставили ворота с замком. Теперь у них получается 2 входа и двое ворот, а нам что бы пройти на участок необходимо как-то пробраться через соседский забор и пройти по их отгороженной территории. С задней стороны участки граничат с лесом и как такового проезда там нет. Естественно, что нас это возмутило и мы обратились к председателю нашего «коллективного сада». Председатель сказал, что мы имеем законное право на проход к своему участку шириной 1,5 метра и что бы мы сами отгородились. Мы так и сделали. Соседка, не долго думая подала в суд, написав в исковом заявлении, что мы негодяи и перекрыли им вход на их участок, что естественно вранье. Так же она указала, что данная земля принадлежит ей на праве бессрочного пользования, потребовала снести забор и компенсировать ей затраты на адвоката в размере 11,5 тыс. рублей.
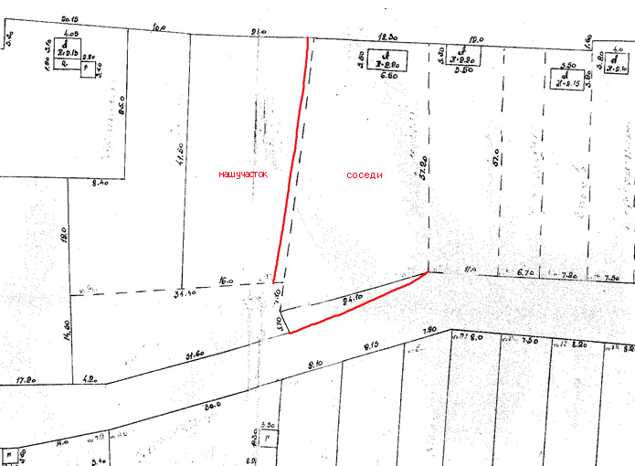
У нас из документов есть только копия схематического плана коллективного сада, в котором указаны даже не все необходимые размеры участков и как раз спорный забор между нами указан просто пунктиром, а проход не указан вообще.
Вопросы такие:
1. Действительно ли у нас есть законное право на проход от дороги общего пользования к своему участку и каким документом это право регламентируется?
2. Как может быть участок под ЛЭП быть в собственности с правом пожизненного владения? Или это блеф со стороны не очень грамотной соседки?
3. Каков порядок моих действий по оспариванию искового заявления и на что лучше делать ставку?
4. Еще один момент в том, что исковое заявление написано на отца, а дача оформлена на мать. Может ли это являться причиной отказа в удовлетворении иска?
Прикладываю копию схемы коллективного сада.
Вложения
Участок1.jpg
Drum
 
Сообщения: 4
Зарегистрирован: Вс июл 12, 2009 23:34
Откуда: Красноярск

Сообщение consulo » Вс окт 04, 2009 14:03

Мать может быть за отца в суде представителем. Здесь нужно ходатайствовать о проведении экспертизы, подавать встречный иск о восстановлении права пользования и владения. Земли под ЛЭП, дороги принадлежат всем и пользоваться ими могут все для доступа к своим участкам и проведения к ним коммуникаций.
consulo
 
Сообщения: 5
Зарегистрирован: Ср сен 30, 2009 02:39
Откуда: Москва

Re: Суд за землю с соседями

Сообщение Alexandra » Пн окт 05, 2009 16:56

Во-первых, экспертизу должен иниицировать тот, кто в принципе и подавался в суд с иском, учитывая не столь дешевую стоимость этого мероприятия. Поэтому, выступая ответчиком в суде Вы должны их спровоцировать на подобный шаг.
Во-вторых, если Вы ведете дела в суде без своего представителя, то должны запомнить, что все слова, фразы, доводы, информация в устном виде должна быть обеспечена письменными доказательствами. А то у Вас получается как в детском саду "Она сказала...". На подобные заявления Вы должны немедленно реагировать в зале суда. Поэтому у меня к Вам встречный вопрос - чем гражданка истица подтвердила свои права на земельный участок? Стоит ли ее участок на кадастровом учете? Чем она может это подтвердить? Если в ситуации еще учавствовал и председатель, то привлекайте ее как третье лицо, с учетом того, что там затрагиваются земли общего пользования. Какими документами подтверждаются Ваши права владения?
Alexandra
 
Сообщения: 2350
Зарегистрирован: Чт авг 10, 2006 17:42


Вернуться в ЗЕМЛЕУСТРОЙСТВО, МЕЖЕВАНИЕ, КАДАСТР

Кто сейчас на конференции

Сейчас этот форум просматривают: нет зарегистрированных пользователей и гости: 4

cron